猫の口腔内扁平上皮癌

扁平上皮癌については、耳に生じた例を以前にご紹介していますが、今回は口腔内の扁平上皮癌です。
最近はアゴ、特に下の顎に生じるタイプが増えてきていると感じています
口腔内では、顎、舌、歯肉、喉頭部、扁桃(ノドの奥にあるリンパ組織)などにが扁平上皮癌の好発部位として知られています。
口腔内扁平上皮癌の発生頻度は、猫全体で0.045%といわれていていますので10万匹に45匹の割合ということになります。
ただし、猫の口の中にできる腫瘍ではNo.1の腫瘍です。(口腔内腫瘍の内、61.2~76.2%という報告があります)
猫ちゃんで、「口の中に腫瘍があるのではないか?」と思ったらなるべく早くチェックしたいですね。
もちろん、ある程度の高齢の猫ちゃんに発生しやすいので、「中年以降、口のトラブル」はつねにこの「扁平上皮癌」を考えておかねばならないということに
なります。
猫ちゃんはなかなか口の中を見せてくれないことも多い為、早期発見が難しかったりします。
口内炎、歯周病、肉芽腫などが鑑別になってきますが、見た目では鑑別できないことも多いため、組織検査が必要になってきます。
腫瘍、つまり「がん」の場合には早期に治療介入が必要になってきますので、様子を見る期間が長いのも考えものです。
猫ちゃんの口がおかしい!場合には一度動物病院で診察を受けてみることをおすすめします。
口内炎が長引いているのかなぁと思っていたら、腫瘍性疾患だったということもありますので念のための確認が必要かもしれません。
※猫ちゃんによっては、お口を触られるのが嫌な子もいますので、状況によっては鎮静剤の使用も考慮しなければなりません。ケースバイケースと言った感じですね。

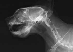
上は、当院の症例レントゲンです。(猫)
下顎に霜柱ができたような、モヤモヤした像がみえます。これは下顎の骨が崩壊した所です。
少し話しは脱線しますが、口を触るのを嫌がる猫ちゃん、わんちゃんは多いです。しかも、痛みがあるようならなおさらですよね。
したがって、検査や処置には鎮静処置(時に全身麻酔処置)が必要になってきます。
ご家族さまにとっては、躊躇してしまうと思いますが、メリットとデメリットを主治医の先生とよくご相談の上、診断を進めていくことが大切だと思います。
口腔内扁平上皮癌は舌や歯肉に多く発生するといわれていましたが、最近では顎(アゴ)にできるものが多くなっています。
◎顎にできる(できている)扁平上皮癌は、2つのタイプがあると言われています。
1, 歯肉等に生じた扁平上皮癌が、顎の骨に浸潤したもの(骨浸潤型)。
2, 顎の骨とくに下顎から発生した(原発性下顎骨中心性扁平上皮癌)。
2のタイプでは、見た目アゴが単に腫れているだけのことがおおく、一見しただけでは「腫瘍」とは思えないこともあるので注意深い観察が必要です。
いずれにしても、確定診断には「生検」が必要です。
治療法についての詳細な記述はさけますが、猫では術後に高確率で摂食障害が発生するといわれていますので、
経食道カテーテルや胃瘻チューブの設置が多くの場合で必要になってきます。
口が痛いから、食べられない・飲めない状態となります。お薬も投与できないことが多くなると思います。
お薬が飲めないから、痛みもコントロールしずらい。
かといって、毎日病院に通院では猫にもご家族にも負担になることでしょう。
栄養不良・脱水・未投薬は、猫をいたずらに衰弱させてしまいます。
私を含めて日本人は、身体にチューブや管(くだ)をつけることに対してのイメージがよくありませんよね。
ただ、この疾患と向き合っていく場合には、頭から下の状態は維持されていることが多いので、チューブの助けは猫にとっては
価値のあることだと思います。「がん」で亡くなる前に「衰弱死」となってしまう場合もあるからです。
もちろん、チューブを装着していてもお口から食べたり飲んだりすることも可能です。
そしえ、食べられるようになれば、チューブを外せばよいのですから、、、。
実は、下記のようなチューブ(胃瘻チューブやPEGチューブと言ったりする)をしなければならない子はとても多いのです。
先の丸い部分が胃の中に入ります。


今ではそのような子の為に、専用の服(※)も販売されていますし、手作りで簡単なベストを作ることもできますよ。
※ Tissue’s Trunkさん
※ みかんとリンゴのお店
※ 「猫 服 胃ろう」で検索してみてください。Amazonでも探せるようです。
◎猫の口腔内扁平上皮癌の特徴
扁平上皮癌の特徴として、局所浸潤性が強いということがあげられます。簡単に言うと、転移しにくい代わりに発生したその場所で拡大進行していきやすい
ということです。したがって、その部位を破壊して進行することになり、痛みや腫れをともなうことが多いです。
治療についての補足
外科手術の他に放射線もありますが、猫の口腔内扁平上皮癌に対しては短期的な縮小反応はみられるが、有効性には乏しいとされています。
(決してムダな治療というわけではございません)
補助的な治療となりますが、ビスホスホネートやトセラニブ(一般名:パラディア)、NSAIDs(非ステロイド性消炎剤)などがのお薬が使用されています。
いずれもコレ!という決定打はないのですが、少しでも猫ちゃんとご家族さまの苦痛の軽減となればと思って治療しています。
さいたま市 大宮区 武内どうぶつ病院 獣医がん学会認定「獣医腫瘍科認定医Ⅱ種」
